One of my cats (female, at least 9 years old) has apparently been hit by a car earlier today. I took her to a vet which took 2 X-rays.
For context, I found that cat about 9 years ago. She had a broken leg, which the vets fixed - I think with a metal plate and screws of some sort. I can't remember if they took it out at some point. Since the surgery the cat has been jumping and running with no signs of pain or discomfort.
I messaged a few veterinary orthopedic surgeons with the X-rays. They gave me the following advice (translated by me):
Vet 1:
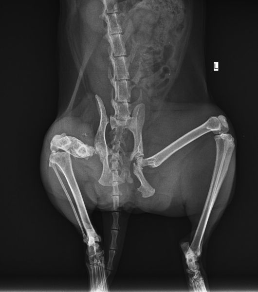
There is an acetabular fracture and a sacroiliac separation.
It may be required to operate only on the acetabular fracture, or it may be needed to fixate the sacroiliac separation.
Vet 2:
One of the traumas is on the cup of the hip joint (the "acetabulum", right?). Even if we can fix it, the risk of developing coxarthrosis ("hip osteoarthritis", right?) after some time, which will be painful and will require further surgery, is high.
He suggested we remove that joint - resection of femoral head. After the joint is removed, it will be replaced with a "fake" joint that the cat already has on the other side with the previously-broken leg.
The other fracture the hip is separated from the spine, but it doesn't bear weight there, so it might be treated conservatively (without surgery).
The second vet suggested a price that's roughly 35% less than the first vet.
Can anyone comment on the advice?
The cat has been lying down for about 12 hours and doesn't exhibit signs of pain (normal breathing and no sounds). How urgently should I take her for an surgery? Vet 2 said the earliest would be in 2 days, while Vet 1 still hasn't contacted me with more information.
I'm giving her gabapentin and meloxicam to treat the pain (prescribed). She ate very little, but drank a normal amount of water a few hours ago.
She tried to go to her toilet, which is near her, but it hurt her. I held her, but she didn't go in the toilet. I'll monitor whether she urinates and defecates normally.
