Home Forums Dogs Lame dog

Lame dog

Published on: September 15, 2025 • By: greygoose199 · In Forum: Dogs
Author
Topic
greygoose199
Participant
September 15, 2025 at 08:53pm
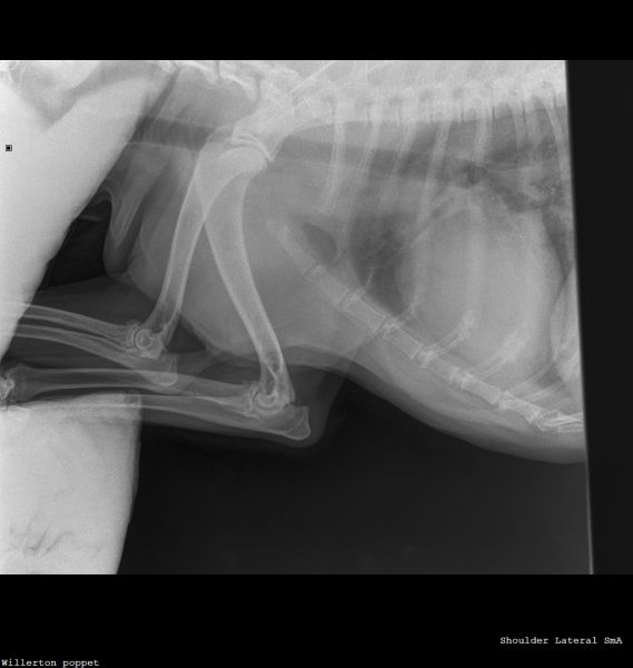
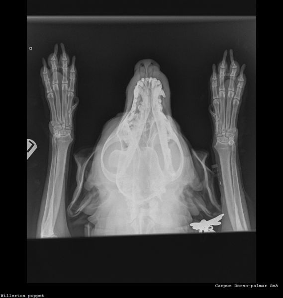
Hi vets, Wondered if anyone could give a second opinion on these X-rays? 12 year old dog. Left forelimb lameness improved with antibiotics then got worse again. Gradually worsening over the past 3 months. Pain on palpation around the left wrist joint and has been treated for an infected claw on the left paw 8 weeks ago (the starting incident for vet treatment). Muscle loss around left shoulder and now winging from the elbow. My first practitioner vets have sent it off for an orthopaedic consult but in the meantime it would be nice to settle my brain that nothing terrible is happening with my dog 🤞🏻 Thank you 🙏🏻Willerton_poppet_CARPUS-Carpus Dorso-palmaWillerton_poppet_SHOULDER-Shoulder Lateral(1)Willerton_poppet_SHOULDER-Shoulder Lateral
Report
Author
Replies
Liz Buchanan BVSc
Keymaster
September 16, 2025 at 11:35am
Hello and thank you for this interesting question.  With my harsh scientific hat on rather than my people-hat, I can point out that nobody can tell you even from a very comprehensive series of x-rays that nothing terrible is happening with your dog; however, investigation of any areas of concern is always a good way forward. We do not read radiographs as part of this series; I have no additional qualifications in reading radiographs so this is best done by the vet who has the full context available to them and if they are unsure, then an expert.  Sometimes if experts are unsure, they will offer further tests or a biopsy.  My job is to help you to get the best out of your vet and I, perhaps like your vet, am a little concerned about the way some of these joints present on the radiograph.  It therefore seems a good idea to maximise the effectiveness of the radiographs already taken, to ask for the comment of an expert.  This seems a reasonable and appropriate next step. Lameness is usually a reflection of pain; the fact that an animal is lame tends to imply that it hurts to put the leg down properly.  The changes to the nail may have been part of a cause of this (for example, fungal infection affecting bone causing pain,  not the only possibility) or part of a consequence of this (ie lameness / altered weight-bearing causing damage to the nail).     It  may be worth asking whether your pet can have pain relief in the meantime, in order to make them more comfortable.  Wishing you the best of luck with this case going forward; please would you let us know how your chihuahua gets on?
Report
Viewing 2 replies - 1 through 2 (of 2 total)

You must be logged in to create new threads, or access some of the forums

Log In
Register

Registration confirmation will be emailed to you

By joining the Forum, I agree that I am aged over 18 and that I will abide by the Community Guidelines and the Terms

Or

Report a Thread or Reply

Thank you for your help. A member of our team will investigate this further.

Back to forum