We are looking for a professional opinion about our domestic cat (female, 12 years old, neutered, 6 kg)
We have been forcing her to eat and drink through a syringe since she had stopped eating a week ago. She has not been as active in her older years, but these past days she is mostly sleeping or lying down.
Her breathing is labored, short and shallow, even during sleep, but with a mouth closed. Her gums are pink, limbs warm, no cyanosis, no collapse. No vomiting, no diarrhea, no fever (temperature around 38°C), urinates normally. No obvious neurological deficits.
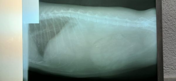
We have done an abdominal ultrasound and both abdominal and thoracic x-rays, but no abnormalities have been noticed. Her teeth are fine, but her pupils are dilated (likely because of pain or stress?)
During tests there was initially noted mild leukopenia (WBC 2.8), which later improved (around 4–5). FeLV and FIV negative. Thyroid (FT4) normal.
There was a weakly positive FPV (feline panleukopenia) rapid test line, but, again, no fever, no GI signs, no rapid deterioration.
She also groans softly, sometimes louder when she’s being touched. She is responsive, can stand and walk short distances.
We suspect that she is in pain, but no opioids are available in our country currently. NSAID was given but the effect was insufficient.
Does this (persistent tachypnea without lung findings) sound more like:
- severe visceral pain (e.g., pancreatitis)?
metabolic acidosis?
early FIP?
or something else we might be missing?
Could pancreatitis be present primarily with persistent tachypnea and minimal GI signs?
Would you prioritize:
- blood gas analysis?
lactate?
repeat thoracic imaging?
hospitalization for monitoring?
Should we still be considering a faint positive FPV test in an adult cat with atypical presentation?
Any professional guidance would be greatly appreciated. Thank you in advance.

